Wissembourg/juedischer Friedhof: Unterschied zwischen den Versionen

aus GenWiki, dem genealogischen Lexikon zum Mitmachen.
Zur Navigation springen Zur Suche springen
Zeile 62: Zeile 62:


===Ansichten des neueren Teiles===
===Ansichten des neueren Teiles===
----
{|
{|
|valign="top"|[[Datei:JüdFriedhof-Wissembourg 0894.JPG|thumb|]]
|valign="top"|[[Datei:JüdFriedhof-Wissembourg 0894.JPG|thumb|]]

Version vom 15. Juli 2016, 15:13 Uhr

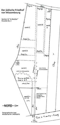
Der jüdische Friedhof in Wissembourg

Geographische Lage
49.026756°N 7.945430°O


Versteckt an der D264, Route de Strassbourg liegt im Süden der Stadt dieser abgeschlossene, jüdische Friedhof.

Von der Straße sieht man zwischen hohen Bäumen neben einem Getreidefeld einige Grabsteine.

Sämtliche Grabstätten sind in Ost-West-Richtung gelegen, wobei die Füße der Toten nach Osten (gegen Jerusalem) ausgerichtet sind.
Von jeher waren die Gräber ohne Einfassung, da die letzte Ruhestätte als "Haus der Ewigkeit" für alle Zeit unantastbar sein und unversehrt bleiben sollte.

Die Grabflächen selbst werden daher nicht bepflanzt und bleiben der Natur voll und ganz überlassen.


Fehler beim Erstellen des Vorschaubildes: Datei nicht vorhanden
Der Vorplatz zum Friedhof
Fehler beim Erstellen des Vorschaubildes: Datei nicht vorhanden
Das Eingangstor
Fehler beim Erstellen des Vorschaubildes: Datei nicht vorhanden
Blick durch das Tor
Fehler beim Erstellen des Vorschaubildes: Datei nicht vorhanden
Seitenblick zum Friedhof


Grabsteine des älteren Teiles


Plan des jüd. Friedhofes
Fehler beim Erstellen des Vorschaubildes: Datei nicht vorhanden
Fehler beim Erstellen des Vorschaubildes: Datei nicht vorhanden
Fehler beim Erstellen des Vorschaubildes: Datei nicht vorhanden
Fehler beim Erstellen des Vorschaubildes: Datei nicht vorhanden
Fehler beim Erstellen des Vorschaubildes: Datei nicht vorhanden
Fehler beim Erstellen des Vorschaubildes: Datei nicht vorhanden
Fehler beim Erstellen des Vorschaubildes: Datei nicht vorhanden
Fehler beim Erstellen des Vorschaubildes: Datei nicht vorhanden

Ansichten des älteren Teiles


Fehler beim Erstellen des Vorschaubildes: Datei nicht vorhanden
Fehler beim Erstellen des Vorschaubildes: Datei nicht vorhanden
Fehler beim Erstellen des Vorschaubildes: Datei nicht vorhanden
Fehler beim Erstellen des Vorschaubildes: Datei nicht vorhanden

Grabsteine des neueren Teiles


Fehler beim Erstellen des Vorschaubildes: Datei nicht vorhanden
Fehler beim Erstellen des Vorschaubildes: Datei nicht vorhanden
Fehler beim Erstellen des Vorschaubildes: Datei nicht vorhanden
Fehler beim Erstellen des Vorschaubildes: Datei nicht vorhanden

Ansichten des neueren Teiles


Fehler beim Erstellen des Vorschaubildes: Datei nicht vorhanden
Fehler beim Erstellen des Vorschaubildes: Datei nicht vorhanden
Fehler beim Erstellen des Vorschaubildes: Datei nicht vorhanden



Literatur

franz. Zeitschrift: l' Outre-Forêt - Numero 153/Seite 43ff, Auguste Muller
siehe auch: Geschichte des jüdischen Friedhofes und der jüdischen Gemeinde
Der Judenfriedhof in Weissenburg 2002